Home / Buy a home / Houses for sale / Granietstraat 15 Swifterbant

Granietstraat 15

VERKOCHT A

Swifterbant

€ 485.000 k.k.

Swifterbant


Type of property
Vrijstaande woning

Surface
155 m²

Plot
305 m²

Bedrooms
4

Bathrooms
1

Year of construction
2004

About the house

Let op! Deze vraagprijs betreft een "Bieden vanaf vraagprijs".

In de volledig gerenoveerde groene wijk "De Greente Noord" is deze riante vrijstaande woning met vrijstaande garage gelegen. De Greente is een breed opgezette woonwijk tegen het winkelcentrum van Swifterbant en gelegen tegen het grote park in het hart van Swifterbant. Nabij zijn eveneens de bushalte, lagere scholen, het zwembad en de bibliotheek gesitueerd. De woonwijk is rond 2004 volledig gerenoveerd, waarbij de woningen nieuw energiezuinig herbouwd zijn en daarmee voldoen aan de wensen en eisen van de huidige tijd.

Indeling:

Begane grond: entree, lichte hal met meterkast, garderobe en vernieuwde luxe toiletruimte met toilet en fonteintje (2024). De ruime woonkamer met woonkeuken is voorzien van een laminaatvloer. De riante uitgebouwde woonkamer is straatgericht en voorzien stalen deuren met glas naar de woonkeuken. De tuingerichte woonkeuken is recent vernieuwd en voorzien van een kookeiland met inductie kookplaat met down-draft afzuiging, vaatwasser en spoelbak. Tegen de achterwand is een kastenwand met veel bergruimte en ingebouwde combi-oven, koelkast en vrieskast. Middels openslaande tuindeuren is de diepe en verzorgde tuin bereikbaar. De tuin is gelegen op het noordoosten en biedt toegang tot de vrijstaande houten garage v.v. elektra, betonnen vloer en een loopdeur alsmede een kanteldeur. De ruime achtertuin beschikt over een zonneterras, buitenkraan, sierbestrating en achterom.

Eerste verdieping: overloop met aansluitend 3 mooie slaapkamers en een ruime nis te gebruiken als linnenkast. De gehele eerste etage is voorzien van een laminaatvloer. De moderne badkamer is voorzien van een duobad, inloopdouche, 2e toilet, designradiator, wastafel en badkamerkast.

Tweede verdieping: vaste trap naar de ruime tweede verdieping, welke beschikt over een laminaatvloer en een gevelraam. Deze verdieping biedt een mooie 4e slaapkamer. Tevens biedt deze verdieping veel bergruimte en is op verdieping de opstelplaats voor de nieuwe c.v.-ketel (Intergas HRE 2024), wasmachine, droger en balansventilatie-unit gesitueerd.

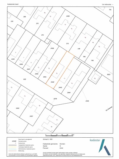
* Bouwjaar 2004, perceeloppervlakte: 305m²
* Ruime uitgebouwde woonkeuken
* 1e verdieping eveneens 3 meter uitgebouwd
* Goed onderhouden en afgewerkt
* Ruime parkeergelegenheid op eigen terrein
* Nieuwe luxe keuken met ingebouwde apparatuur
* Nieuwe luxe toiletruimte 2024
* Moderne uitgebreide badkamer
* Begane grond recent volledig gemoderniseerd
* Fraaie steel-frame glasdeuren naar de woonkeuken
* Diepe tuin voorzien van achterom
* Nieuwe overkapping achterin de tuin
* Schilderwerk 2025
* 10 zonnepanelen aanwezig
* Energielabel A
* Aanvaarding in overleg, snelle levering mogelijk
* Makelaardij Van der Linden
* Bij verkoop hanteren wij een NVM koopakte model 2023

Het verkoopproces verloopt in zijn geheel via MOVE.nl en daarmee ook het biedingsproces. Biedingen dienen via MOVE te worden ingediend. U ontvangt op het moment dat u een afspraak voor bezichtiging maakt, inloggegevens voor een MOVE account. Via dat account kunt u alle benodigde informatie en documenten inzien en, indien gewenst, een bod uitbrengen.

Deze informatie is door ons met de nodige zorgvuldigheid samengesteld. Onzerzijds wordt echter geen enkele aansprakelijkheid aanvaard voor enige onvolledigheid, onjuistheid of anderszins, dan wel de gevolgen daarvan. Alle opgegeven maten en oppervlakten zijn indicatief.

Want to know more?

Marijn Scheffers
NVM makelaar.

Granietstraat 15 Swifterbant

MAP

Interested in this property?

What can we do for you?

Contact information