Let op! Deze vraagprijs betreft een "Bieden vanaf prijs".
Deze modern afgewerkte vrijstaande woning is op een zeer gewilde locatie gelegen in wijk "De Gilden" te Dronten. De woning is aan de achterzijde vrij gelegen en kijkt uit over een brede waterpartij. Het perceel van 226m2 beschikt over een oprit met parkeergelegenheid alsmede een achterom naar de mooi aangelegde tuin op het noorden. De laatste hand is net gelegd aan deze woonwijk, waardoor de gehele woonwijk een frisse nieuwe uitstraling geeft. Op loopafstand (3 minuten) is het winkelcentrum Dronten West gelegen waar de nodige winkels, scholen en een gezondheidscentrum aanwezig zijn.
Lees verderTevens zijn uitvalswegen naar Almere en Zwolle nabij gelegen en geeft het nabij gelegen Wisentbos de mogelijkheid voor een heerlijke boswandeling.
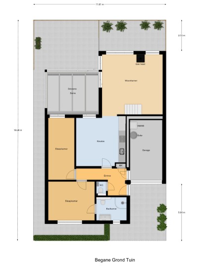
Indeling:
Begane grond: overdekt entree, hal met garderobe, toiletruimte met hangcloset en fonteintje, meterkast, binnendoor naar de aangebouwde en geïsoleerde garage welke beschikt over een betonvloer, uitstortgootsteen met warm en koud water, wasmachineaansluiting, opstelplaats van de c.v.-ketel, mechanische ventilatie unit, omvormer van de zonnepanelen en een elektrische sectionaaldeur naar de oprit.
Vanuit de hal kom je in de luxe moderne open keuken met aangrenzend de eethoek en doorgang naar de woonkamer. De keuken is voorzien van veel kastruimte en beschikt over een ingebouwde koel/vriescombinatie, hoge druk stoom oven, vaatwasser, combimagnetron, 5 pits gas-op-glas kookplaat en een rvs afzuigkap en een loopdeur naar de tuin. De tuingerichte woonkamer is ruim van opzet en heerlijk licht door de grote raampartijen en geeft een prachtig blijvend vrij uitzicht over groen en water. De woonkamer is voorzien van een airconditioning, een vaste trap naar de etage en een schuifpui naar het terras en de tuin.
Vanuit de hal zijn tevens de twee slaapkamers op de begane grond te bereiken. Aan de voorzijde van de woning is een ruime slaapkamer met en-suite badkamer gesitueerd. De badkamer beschikt over een hangcloset, een douchecabine, designradiator en een wastafel met meubel. Aan de achterzijde is de 2e slaapkamer gelegen welke is voorzien van een sauna en een deur naar het terras. De begane grond is voorzien van laminaatvloeren waarbij de slaapvertrekken zijn voorzien van tapijt.
De tuin is vanuit de kleine slaapkamer en de eethoek met een loopdeur te betreden en vanuit de woonkamer middels een schuifpui met hor te betreden en is onderhoudsarme en verzorgd aangelegd. Tegen de achtergevel is een ruime aluminium overkapping gerealiseerd met vlonderterras, jacuzzi (ter overname) infra rood verwarming en is afsluitbaar middels glazen schuifdeuren. De tuin is verder voorzien van een achterom en geeft mooi vrij uitzicht over water.
Eerste verdieping: vast trap naar de overloop met aansluitend een mooie slaapkamer en badkamer. De slaapkamer is gesitueerd aan de achterzijde van de woning en beschikt over fraai uitzicht over water. De badkamer is voorzien van een inloopdouche, 3e hangcloset, designradiatorwastafelmeubel.
* Bouwjaar: 2011, perceeloppervlakte: 226m2
* Modern afgewerkt en goed onderhouden
* Lichte woonkamer met vrij uitzicht over water
* Woonkamer voorzien van airconditioning
* Voorzien van sfeervolle gashaard
* Moderne keuken met inbouwapparatuur en solartube
* Voorzien afsluitbare overkapping met glasdeuren
* 2 moderne badkamers
* Blijvend vrij uitzicht over brede waterpartij
* Voorzien van 12 zonnepanelen
* Tuin is mooi aangelegd en rustig gelegen
* Parkeergelegenheid op eigen grond
* Slaapkamer en badkamer op de begane grond
* Voorzien van inbraak werend glas
* Energielabel A
* Aanvaarding in overleg
* Bij verkoop hanteren wij een NVM koopakte model 2023
* Makelaardij Van der Linden
Het verkoopproces verloopt in zijn geheel via MOVE.nl en daarmee ook het biedingsproces. Biedingen dienen via MOVE te worden ingediend. U ontvangt op het moment dat u een afspraak voor bezichtiging maakt, inloggegevens voor een MOVE account. Via dat account kunt u alle benodigde informatie en documenten inzien en, indien gewenst, een bod uitbrengen.
Deze informatie is door ons met de nodige zorgvuldigheid samengesteld. Onzerzijds wordt echter geen enkele aansprakelijkheid aanvaard voor enige onvolledigheid, onjuistheid of anderszins, dan wel de gevolgen daarvan. Alle opgegeven maten en oppervlakten zijn indicatief.
