Let op! Deze vraagprijs betreft een "Bieden vanaf vraagprijs".
Deze goed onderhouden vrijstaande woning met inpandige garage ligt op een mooi perceel van 511m² aan de voorzijde aan een rustige straat met alleen bestemmingsverkeer en aan de achterzijde aan een tocht waardoor de ligging heel erg gewild is. Scholen, gezondheidscentrum en het winkelcentrum bevinden zich op fietsafstand. De woning heeft 4 slaapkamers, waarbij de 2e verdieping de mogelijkheid biedt voor een 5e slaapkamer. De woning is voorzien van zonnepanelen, een balkon en een dakkapel in de badkamer. In de rustige autoluwe straat is voldoende parkeergelegenheid bij de woning alsmede voor 2 auto's op eigen perceel.
Lees verderDe uitvalswegen naar Amsterdam, Almere en Emmeloord liggen aan de rand van deze wijk.
Indeling:
Begane grond: ruime oprit, overdekte entree, hal met meterkast en garderobe, licht betegelde toiletruimte met hangcloset en fonteintje. Loopdeur met fraai glas-kozijn naar de woonkamer met ruime eethoek voorzien van een schuifpui naar de tuin. De dichte keuken is aan de achterzijde van de woning gesitueerd en in een U-vorm opgesteld. De keuken beschikt over veel kastruimte en een groot werkblad alsmede ingebouwde koelkast, combi-oven, vaatwasser, inductiekookplaat met vlakscherm afzuiging. Vanuit de keuken is de bijkeuken bereikbaar waar de wasmachine en droger opgesteld staan en welke binnendoor toegang biedt tot de inpandige garage voorzien van een elektrisch bedienbare sectionaaldeur. Vanuit de bijkeuken biedt een loopdeur eveneens toegang tot de achtertuin welke prachtig aangelegd is in verschillende niveaus richting het rustgevende terras aan de tocht grenzend aan het perceel. De tuin biedt een achterom langs de woning een vrijstaand tuinhuis en bovenal veel rust en privacy!
Eerste verdieping: overloop met bergkast en aansluitend 4 slaapkamers en de badkamer. De slaapkamer aan de achterzijde geeft toegang tot het balkon. Deze verdieping is voorzien van vloerbedekking. De badkamer is mede door de dakkapel heerlijk licht en omvat een douche met cabine, ligbad, 2e toilet en wastafelmeubel met dubbele wastafel.
Tweede verdieping: een vaste trap leidt naar de zolderkamer welke in gebruik is als werkkamer. Aan de voorzijde is een separate berging gelegen waar zich de omvormer voor de zonnepanelen, de c.v.-ketel (Remeha HR 2019) en de mechanische ventilatie bevinden.
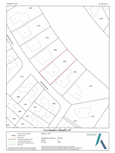
* Bouwjaar 1994, perceeloppervlakte: 511m²
* Gewilde ligging nabij Swifterbos en aan de tocht
* Goed onderhouden o.a. middels een onderhoudscontract met schilder
* Energielabel B
* Voorzien van zonnepanelen en een dakkapel
* 5e slaapkamer mogelijk
* Inpandige garage met elektrisch bedienbare sectionaaldeur
* Tuin grenzend aan het water
* Rustig gelegen nabij centrum
* Aanvaarding in overleg, eind september / begin oktober 2025
* Bij verkoop hanteren wij een NVM koopakte model 2023 met de volgende clausule: ouderdomsclausule
* Makelaardij Van der Linden
Het verkoopproces verloopt in zijn geheel via MOVE.nl en daarmee ook het biedingsproces. Biedingen dienen via MOVE te worden ingediend. U ontvangt op het moment dat u een afspraak voor bezichtiging maakt, inloggegevens voor een MOVE account. Via dat account kunt u alle benodigde informatie en documenten inzien en, indien gewenst, een bod uitbrengen.
Deze informatie is door ons met de nodige zorgvuldigheid samengesteld. Onzerzijds wordt echter geen enkele aansprakelijkheid aanvaard voor enige onvolledigheid, onjuistheid of anderszins, dan wel de gevolgen daarvan. Alle opgegeven maten en oppervlakten zijn indicatief.
